An ecosystem is made up of living things – animals, plants, and bacteria – and non-living things, like water, sand, and rocks. All these parts work together and depend on each other.

This diagram of a marine ecosystem includes the living and non-living elements that interact and are interconnected. Source: Open University.
Living things rely on non-living things, so to understand an ecosystem, we must look at both. Here’s what makes up an ecosystem:
- producers (make their own food)
- consumers (eat other things to get energy)
- decomposers (break down dead stuff)
- dead and non-living matter (like water, air, and minerals)

Producers, like this seaweed, use sunlight, water, and carbon dioxide to make food through photosynthesis. Source: LEARNZ.
All ecosystems need energy from somewhere, usually the sun.
- Producers (like plants) use sunlight, water, and carbon dioxide to make food through photosynthesis.
- Consumers (like animals) can’t make their own food, so they eat plants or other animals.
- Decomposers (like bacteria) break down dead plants and animals, returning nutrients to the ecosystem.
- Non-living things are the materials, like water and minerals, that producers need.

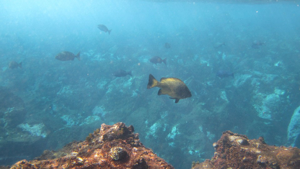
Consumers, like these fish, can’t make their own food, so they eat plants or other animals. Source: LEARNZ.
Why is it important to understand ecosystems?
Anything that affects one part of an ecosystem can affect other parts too. Sadly, humans sometimes harm ecosystems, even with small actions. For example, if too many sharks are caught, the balance of the reef ecosystem changes. With fewer sharks, fish populations grow too large, which throws the reef out of balance.
Strong (resilient) ecosystems
A resilient ecosystem is like a strong team that can handle stress or change without falling apart. A resilient ecosystem usually has lots of different plants and animals, or high biodiversity.
Without resilience, an ecosystem can become weak and may collapse, meaning fewer species can survive there.

A resilient ecosystem usually has lots of different plants and animals, or high biodiversity. Source: LEARNZ.
Biodiversity
Biodiversity is the variety of life in an ecosystem. High biodiversity often helps an ecosystem stay resilient because if many species are doing similar jobs – like cleaning the water or creating food through photosynthesis – the ecosystem is more likely to survive and stay balanced.
Māori kupu | key words
rā | sun
pūkame | producer
ahotakakame | photosynthesis
ika | fish
aumangea | resilient
rerenga rauropi | biodiversity


